Komunikacja rozwiń menu
Komunikat archiwalny

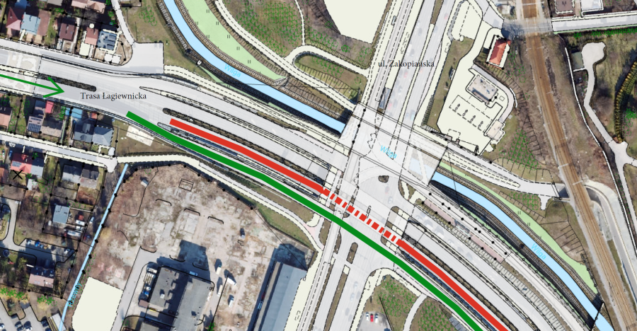
Prace gwarancyjne Trasy Łagiewnickiej

Od 23 lipca do czwartku, 25 lipca prowadzona jest naprawa gwarancyjna Trasy Łagiewnickiej, pod ulicą Zakopiańską. Prace polegają na przywróceniu równości w ciągu południowej jezdni głównej Trasy Łagiewnickiej pod ulica Zakopiańską – w miejscu gdzie obecnie obowiązuje ograniczenie prędkości.

Fot. 3obwodnica.krakow.pl

Na czas prowadzenia prac wprowadzona została czasowa zmiana organizacji ruchu dla korzystających z trasy od strony osiedla Ruczaj w kierunku osiedla Kurdwanów. Objazd dla pojazdów wyznaczony został z wykorzystaniem łącznic z ul. Zakopiańską oraz poprzez przejazd na wprost nad obiektem przez istniejące skrzyżowanie z ul. Zakopiańską. Oznacza to, że samochody jadące w kierunku Kurdwanowa, przecinają ul. Zakopiańską na poziomie „0” a nie „–1”. Ponieważ ruch nie odbywa się bezkolizyjnie, przepustowość trasy się obniży. Dlatego też opracowano plan naprawy, który pozwolił skrócić jej trwanie z pierwotnie planowanego tygodnia, do 3 dni.

Więcej informacji można uzyskać pod dostępnym całą dobę numerem telefonu 12 200 7000.

Brak zaakceptowanej zgody na wyświetlanie informacji zewnętrznych. (YouTube)

 

mapka

pokaż metkę
Osoba publikująca: Margerita Krasnowolska
Podmiot publikujący: Wydział Komunikacji Społecznej
Data publikacji: 2024-07-17
Data aktualizacji: 2024-07-24
Powrót

Zobacz także

Znajdź